Dettagli di

Appartamento Via Bartolomeo Bianco 121/3

€ 110.707,87

Asta Immobili Legge 10/2004
Proprieta A.R.T.E. Genova
Ubicazione Provincia di Genova

Più Informazioni

Bando-invito ad offrire per la vendita di n. 25 unità immobiliari di proprietà aziendale ai sensi della Legge Regionale 10/2004 e s.m.i. Le aste pubbliche riguardano alloggi liberi e sono riservate a persone fisiche in possesso dei requisiti per l’accesso ai contributi dell’edilizia agevolata.



Appartamento Via Bartolomeo Bianco 121/3
Destinazione Alloggio
Zona Genova
Via Via Bartolomeo Bianco 121/3
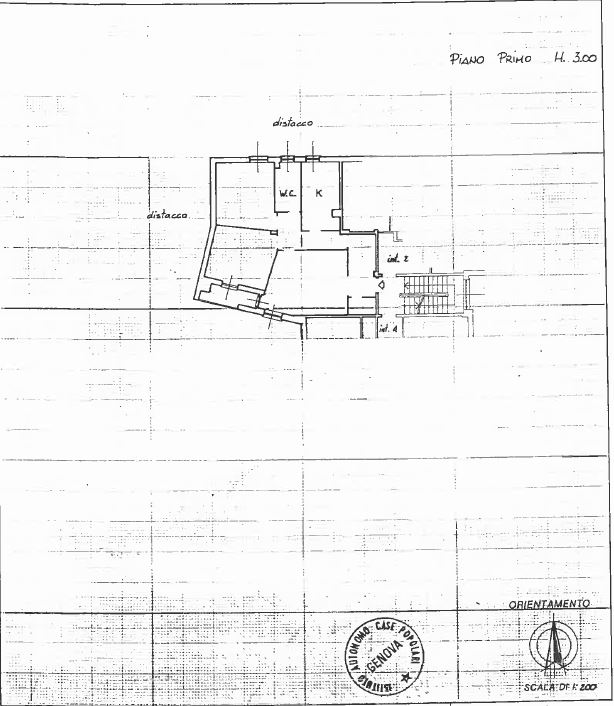
Piano 1
Prezzo € 110.707,87
Cauzione € 11.070,79
Metri Quadri 100
Ascensore NO
Riscaldamento Autonomo
Tipo di Amministrazione Condominio
Balcone SI
Stato Immobile Buono/Abitabile
Vani 5.5
Pertinenze Balcone
Note Asta pubblica

Più Informazioni

Arte Genova vende all'asta appartamento sito in Via Bartolomeo Bianco 121/3 posto al primo piano di 100 MQ, composto da entrata alla genovese, grande salone, bagno e tre camere e cucina abitabile. Vista Mare Per maggiori informazioni contattare L'Ufficio Patrimonio Vendite: 010/5390303 010/5390322

Galleria

Mappa

Di seguito la mappa di google

Powered by Googlemapsgenerator.com/pt/ & iamsterdamcard